VOLKSWAGEN PASSAT 1.9 TDI 130CV
- Vehicles Stock Accidentados
- ID # 003135
- Marque Volkswagen
- Inscription 2 / 2002
- Couleur Verde
- Boîte de vitesse Manual
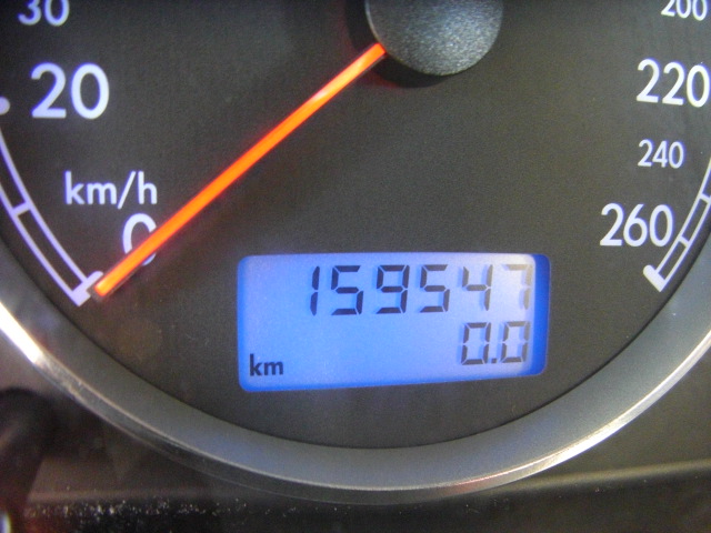
- Kilomètres 159.547 Km
- Puissance 130CV
- Carburant Diesel
- Emplacement Madrid
- Vendeur Hostiauto
- Prix 1.600 €
Información VOLKSWAGEN PASSAT 1.9 TDI 130CV
Observaciones VOLKSWAGEN PASSAT 1.9 TDI 130CV
averiado.vehiculo perteneciente de robo..
Fotos VOLKSWAGEN PASSAT 1.9 TDI 130CV
- VOLKSWAGEN PASSAT 1.9 TDI …

- VOLKSWAGEN PASSAT 1.9 TDI …

- VOLKSWAGEN PASSAT 1.9 TDI …

- VOLKSWAGEN PASSAT 1.9 TDI …

- VOLKSWAGEN PASSAT 1.9 TDI …

- VOLKSWAGEN PASSAT 1.9 TDI …

- VOLKSWAGEN PASSAT 1.9 TDI …

- VOLKSWAGEN PASSAT 1.9 TDI …

- VOLKSWAGEN PASSAT 1.9 TDI …

- VOLKSWAGEN PASSAT 1.9 TDI …

- VOLKSWAGEN PASSAT 1.9 TDI …

- VOLKSWAGEN PASSAT 1.9 TDI …

- VOLKSWAGEN PASSAT 1.9 TDI …

- VOLKSWAGEN PASSAT 1.9 TDI …

- VOLKSWAGEN PASSAT 1.9 TDI …

- VOLKSWAGEN PASSAT 1.9 TDI …

- VOLKSWAGEN PASSAT 1.9 TDI …

Características Motor y cambio
- El vehiculo anda
- Motor arranca
Características Carrocería
- Airbags ok
Características Extras
- ABS
- Airbag acompañante
- Airbags laterales
- Cierre centralizado
- Climatizador
- Dirección asistida
- Elevalunas eléctrico
- Faros antiniebla
- Llantas de aleación
- Ordenador de abordo
