SEAT IBIZA 1.9 TDI 100CV
- Vehicles Stock Accidentados
- ID # 002570
- Marque Seat
- Inscription 11 / 2005
- Couleur Negro
- Boîte de vitesse Manual
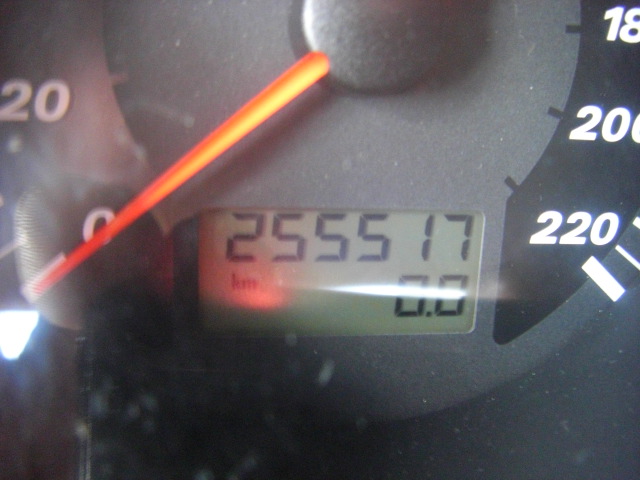
- Kilomètres 255.517 Km
- Puissance 100CV
- Carburant Diesel
- Emplacement Madrid
- Vendeur Hostiauto
- Prix ¡¡¡Rebajado!!!1.800 €
Información SEAT IBIZA 1.9 TDI 100CV
Observaciones SEAT IBIZA 1.9 TDI 100CV
accidentado.vehiculo con golpe delantero,arrancando y andando,airbags ok,cd,a/c,volante multi funcion,dañado bombin arranque..
Fotos SEAT IBIZA 1.9 TDI 100CV
- SEAT IBIZA 1.9 TDI 100CV

- SEAT IBIZA 1.9 TDI 100CV

- SEAT IBIZA 1.9 TDI 100CV

- SEAT IBIZA 1.9 TDI 100CV

- SEAT IBIZA 1.9 TDI 100CV

- SEAT IBIZA 1.9 TDI 100CV

- SEAT IBIZA 1.9 TDI 100CV

- SEAT IBIZA 1.9 TDI 100CV

- SEAT IBIZA 1.9 TDI 100CV

- SEAT IBIZA 1.9 TDI 100CV

- SEAT IBIZA 1.9 TDI 100CV

- SEAT IBIZA 1.9 TDI 100CV

- SEAT IBIZA 1.9 TDI 100CV

- SEAT IBIZA 1.9 TDI 100CV

- SEAT IBIZA 1.9 TDI 100CV

- SEAT IBIZA 1.9 TDI 100CV

- SEAT IBIZA 1.9 TDI 100CV

- SEAT IBIZA 1.9 TDI 100CV

- SEAT IBIZA 1.9 TDI 100CV

- SEAT IBIZA 1.9 TDI 100CV

- SEAT IBIZA 1.9 TDI 100CV

Características Motor y cambio
- Motor arranca
Características Carrocería
- Airbags ok
- Golpe frontal
Características Extras
- ABS
- Airbag
- Airbag acompañante
- Airbags laterales
- Aire acondicionado
- Cierre centralizado
- Climatizador
- Dirección asistida
- Elevalunas eléctrico
- Faros antiniebla
- Llantas de aleación
- Ordenador de abordo
- Radio/CD
- Volante multifunción
