FORD TOURNEO CONNECT 1.8 CDTI KOMBI 230L 110CV
- Vehicles Stock Accidentados
- ID # 002293
- Marque Ford
- Inscription 6 / 2008
- Couleur Negro
- Boîte de vitesse Manual
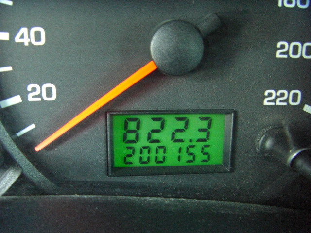
- Kilomètres 200.155 Km
- Puissance 110CV
- Carburant Diesel
- Emplacement Madrid
- Vendeur Hostiauto
- Prix 2.750 €
Información FORD TOURNEO CONNECT 1.8 CDTI KOMBI 230L 110CV
Observaciones FORD TOURNEO CONNECT 1.8 CDTI KOMBI 230L 110CV
accidentado.vehiculo con golpe delantero daños en la carcasa de la bomba, el vehiculo no arranca por tener dañado motor de arranque,cd,a/c,mandos audio en volante..
Fotos FORD TOURNEO CONNECT 1.8 CDTI KOMBI 230L 110CV
- FORD TOURNEO CONNECT 1.8 C …

- FORD TOURNEO CONNECT 1.8 C …

- FORD TOURNEO CONNECT 1.8 C …

- FORD TOURNEO CONNECT 1.8 C …

- FORD TOURNEO CONNECT 1.8 C …

- FORD TOURNEO CONNECT 1.8 C …

- FORD TOURNEO CONNECT 1.8 C …

- FORD TOURNEO CONNECT 1.8 C …

- FORD TOURNEO CONNECT 1.8 C …

- FORD TOURNEO CONNECT 1.8 C …

- FORD TOURNEO CONNECT 1.8 C …

- FORD TOURNEO CONNECT 1.8 C …

- FORD TOURNEO CONNECT 1.8 C …

- FORD TOURNEO CONNECT 1.8 C …

- FORD TOURNEO CONNECT 1.8 C …

- FORD TOURNEO CONNECT 1.8 C …

- FORD TOURNEO CONNECT 1.8 C …

- FORD TOURNEO CONNECT 1.8 C …

- FORD TOURNEO CONNECT 1.8 C …

- FORD TOURNEO CONNECT 1.8 C …

Características Carrocería
- Airbags dañados
- Golpe frontal
Características Extras
- ABS
- Airbag
- Airbag acompañante
- Airbags laterales
- Aire acondicionado
- Cierre centralizado
- Dirección asistida
- Elevalunas eléctrico
- Faros antiniebla
- Llantas de aleación
- Ordenador de abordo
- Radio/CD
